Swim with the Whale Sharks
|
|
La vidéo du voyage ... (au format iphone ... |
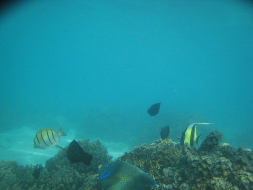
| Samedi Les dernières vacances en Australie. Sur un coup de tête on décide daller à Ningaloo Reef faire une dernière balade plongée. La semaine a été une course comme dhabitude. Et même un peu plus car les 2 derniers jours étaient consacrés à une formation LEAN. Bref, très longues journées. Petite nuit, couché minuit et debout 4h pour prendre lavion pour Exmouth. Un petit fokker. 2h30 de vol et nous voilà à Exmouth. Il est 10h, on va faire les courses pour la semaine à lIGA du coin. On a loué un camping car, très bien équipé. La dame de lagence est très gentille. Bref ça commence bien. On sarrête à une plage sur le chemin, je pêche un peu, juste pour passer le temps. Le ciel est nuageux mais il fait bon. On arrive au camping, on sinstalle, et il est déjà lheure de préparer le diner sur les BBQs. Ce soir cest maïs et côtelettes dagneau. Le tout précédé bien évidemment d'un petit apéro. Et puis à 20h tout le monde au dodo car demain cest baignade avec les requins baleines. |
|
![]() |
![]() |
| Dimanche Le réveill sonne à 6h15, il ne fait pas encore jour. Il pleut même un peu. On végète au lit dans le camping-car, nous en bas, Célian en haut, qui écrase encore. Puis le temps de tout remballer, de se préparer , il est déjà 7h20 et on décide daller à lembarcadère directement et de prendre le petit déjeuner la-bas pour ne pas rater le départ. On a bien fait car le bus est en avance et on a juste le temps de prendre quelques cornflakes et on remballe le tout pour aller sur le bateau. Briefing, puis on arrive sur le premier spot de snorkeling. Magali et Célian se préparent. On met Célian à leau. Il a du mal avec le masque, la mer est un peu agitée. On utilise une frite, mais il nest pas à laise il faut dire quil ny a pas le bord de la piscine. Et puis manque de chance, il se fait toucher par une « stinger »(méduse) et ça brûle. Donc retour sur le bateau. Magali reste avec Célian et je retourne faire un tour. Bon cest un tour de chauffe. Il ny a pas grand-chose à voir . Juste un requin qui nageait sous nous la routine quoi !Laccompagnatrice na pas revu la tortue. Effectivement il y avait des stingers, je me suis fait aussi piquer. Puis on part à la recherche de whale sharks. Lavion est parti en repérage. Arrive le moment fatidique. Léclaireur rentre dans leau, je me prépare. Magali reste avec Célian, on se relayera. Le groupe est petit, 10 personnes, donc on arrivera à trouver le temps. On saute donc dans cette eau bleue, chaude et on nage, on voit au loin, tout bleu, et là apparait soudain un gros truc de 4 mètres. Ca a la forme dun requin. Bon ce quil faut se dire ici cest quils sont déjà bien nourris donc on ne risque pas grand-chose. Bref revenons à ce gros whale shark (gros pas vraiment, ils peuvent arriver jusqu'à 18m) On nage autour de lui à 4 metres. Et puis il plonge, cest que ça na pas lair, mais ça nage vite. On remonte sur le bateau et on repart à la chasse. 20min plus tard et quelques baleines plus loin, on en retrouve un autre. Magali prend sa place. Celui là est superbe. Aussi de 4m. Mais ce qui est bien cest quil reste à la surface pendant 45min. On a tous fait 3 plongées chacun. On a nagé à côté, devant et derrière le monstre. Une experience géniale. Comme un des ses poissons pilotes, on a approché le géant des mers. Sur le chemin, on a vu de près 2 superbes baleines. Une nous a même fait un saut de lange. Une sortie complète de leau. On a aussi apercu une raie manta du bateau, mais pas longtemps. Cétait plutôt une ombre quautre chose. Célian sest très bien comporté. Il a fait copain avec les skippers. Il a même été co-pilote pour un moment sur le pont superieur (très fier). Puis sur le chemin du retour on sarrête sur le reef et on fait une dernière plongée pour voir des poissons de toutes les couleurs. Un vrai aquarium. Bref superbe journée. Ca vaut le déplacement. Célian sest bien amusé, nous aussi Retour au camp, on se prend une douche, on joue un peu et on va bientôt faire lapéro et je pense que lon ne va pas faire long feu ce soir. |
|
![]() |
![]() |
|
|
|
|
|
|
| Lundi Réveillés au lever du jour , on se fait un petit déjeuner digne de ce nom ce matin. On arrive donc un peu en retard à la barrière du parc. Il y a deja 15 voitures devant nous pour réserver des places de campement. Et la danse des places commence. Finalement on a une place à Yardi creek. Il nous faut 45min pour y arriver. On met le camping car , c'est sympa c'est au pied de la mer. On va se faire un petit tour le long de la rivière (creek) 2,5km. Célian y arrive en trainant un peu des pieds. On voit quelques osprey (oiseaux de proie), mais pas de rock walibi. Puis après un dejeuner sandwich au bout du chemin, on retourne au camping car. Avant la balade on a essayé de faire du cerf-volant sur la plage a marrée haute c'est à dire sans place suffisante. Donc le cerf-volant que Célian pilotait s'est retrouvé 2 fois dans l'eau. C'est donc devenu difficile de le faire voler. Bref, l'après-midi nous allons à Turquoise Bay. Magali et moi avons une bonne séance de baignade, chacun notre tour. Très beaux poissons. Il parait qu'il y avait des tortues, mais on ne les a pas vues.... Le soleil se couche, le vent souffle toujours. Les 5 min de lumière sont étonnantes.. Superbes. Célian s'amuse avec les petites filles d'à côté. On fait un tour à la plage, je pêche (rien)un peu, et Célian fait des pâtés dans le sable. On se fait le dîner dans le camping car. Pâtes carbonara.... Et après le rituel uno, lecture de Célian, histoire, et tout le monde fait dodo. Celian se met à compter. On en est a "seven hunderd and eighty nine". Bon à plus!!! Bonne nuit |
|
![]() |
|
| Mardi Il a plu dans la nuit, levés avec le soleil à 6h30. Célian a bien dormi, on décide de rester une journée/nuit de plus ici, comme cela Célian pourra jouer avec les filles. Mais bon elles partent ce matin. Apres un copieux petit dej, Célian avait commandé du pain perdu, nous prenons la route popur aller à Oyster stack. La mer est haute, il y a des vagues. Ce n'est pas facille de rentrer dans l'eau, il y a plein de caillous qui coupent.bref il faut se lancer au non moment. Ca me fait penser aux pingoin qui se lancent de la banquise. Il y a plein de poissons, étoiles de mer ,sconcombre et bénitiers. Je nage meme dans un ban de gros poissons. J'ai vu ( cru voir) un reef shark. En tout cas ca en avait la grâce et la forme. Je ne me suis pas trop attardé... Magali a aussi fait une plongée, mais le courant lui a fait un peu peur. Pour midi on va à Sandy beach. On ajuste le temps d'avaler notre salade et la boîte de maïs face à la mer tout en regardant l'orage arriver. Ce qui donne des couleurs superbes sur la mer et le ciel. L'orage éclate, et pour ne pas être complètement mouillés on finit le dessert dans le camping-car. Pour s'occuper c'est partie de uno sur partie de jeux des 7 familles. On retourne à Yardy creek où notre emplacement est sous l'eau et nous devons nous mettre un peu plus loin devant le campement du gardien. Ce soir au menu c'est green cury thai, pas si mal pour un repas au bout du monde. Et puis lecture et tout le monde au dodo. |
|
|
|
|
| Mercredi La nuit a été pluvieuse. Magali a dû viser entre les averses pour aller faire son petit pipi de la nuit. Ce matin on fait un transfert sur Pilgramina, un site de camping encore plus chouette. On doit y être pour 10 heures ce qui nous donne le temps de faire des crêpes. Le temps est orageux. On se prend quelques gouttes d'eau. Arrivés à pilgramina, la mer est calme et on va se baigner. Il y a plein de poissons partout, c'est la marrée haute. J'ai vu une tortue, pendant 20min on a tourné en rond. Elle remontait à la surface pour respirer puis replongeait. C'était très sympa. Puis je suis tombé sur des raies posées au fond sur le sable. Quand on s'approche, elles se dressent puis détalent à toute vitesse. Superbe plongée. Très sympa. Ensuite, je pêche un peu. Magali va faire une petite balade pendant que Célian joue avec moi (ou plutôt l'inverse). Puis on mange une salade de riz, et je retourne dans l'eau. Même Magali et Célian participent. Célian arrive à voir quelques poissons, mais pas autant qu'il pourrait en voir. Il n'est pas encore bien habitué à son masque et tuba. En fin d'après midi on part avec Célian chercher des crabes. Ils sont rapides ici. On en voit plein, mais un seul finit dans le seau. Ce soir c'est happy hour. Tout les gens se retrouvent autour de la table qui était dans l'eau à marée haute. On est 9 campeurs à boire une bière en cercle et en regardant le coucher de soleil. Les enfants jouent dnas un coin. Très sympa tout ça. Ce soir au dinner, c'est omelette aux champignons et compote. Et comme d'hab, lecture, histoire, éventuellement puzzle et dodo. |
|
|
|
|
|
Jeudi |
|
|
|
|
|
Vendredi |
|
|
|
|
| Samedi Levés à 6h30.... Ca veut dire que d'ici à 11h30, l'heure à laquelle on doit rendre le camping car a 80km d'ici, on a encore le temps de faire une petite baignade rapide. Le temps est superbe, le ciel est tout bleu, il n'y a pas un poil de vent. On retourne donc après un petit dej rapide à Turquoise bay. Tout le monde en tenue et on se retrouve à faire une superbe plongeée avec Célian et Magali. On voit plein de poissons et même un poulpe. L'eau était encore plus claire que la veille. Bref c'est normalement comme ça en temps normal! Quel régal de pouvoir refaire un petit plongeon dans cette eau chaude et si claire avec des poissons partout. Puis on reprend le camping car, on arrive juste a temps à la location, le bus vient nous prendre pour l'aéroport. On discute de ce que l'on a vu et de nos bonnes vacances. Quelques heures plus tard nous voici de retour à Perth. Dans le froid (relatif) de l'hiver australien. Vivement les prochaines vacances..... On ne sait où!!!!! (Bali ?) Au plaisir d'écrire nos nouvelles aventures. |
|
![]() |
![]() |
|
|
|











































